27.01.2018

Öffentliche Bekanntmachung

 

Inkrafttreten des Bebauungsplanes „Wohngebiet westlich der Höhenstraße“ der Ortsgemeinde Hof 

Der Gemeinderat Hof hat in seiner Sitzung am 10.01.2019 über die Stellungnahmen aus der förmlichen Beteiligung der Öffentlichkeit sowie der förmlichen Beteiligung der Behörden und sonstigen Träger öffentlicher Belange beraten und entschieden und den Bebauungsplan „Wohngebiet westlich der Höhenstraße“ als Satzung beschlossen.

 

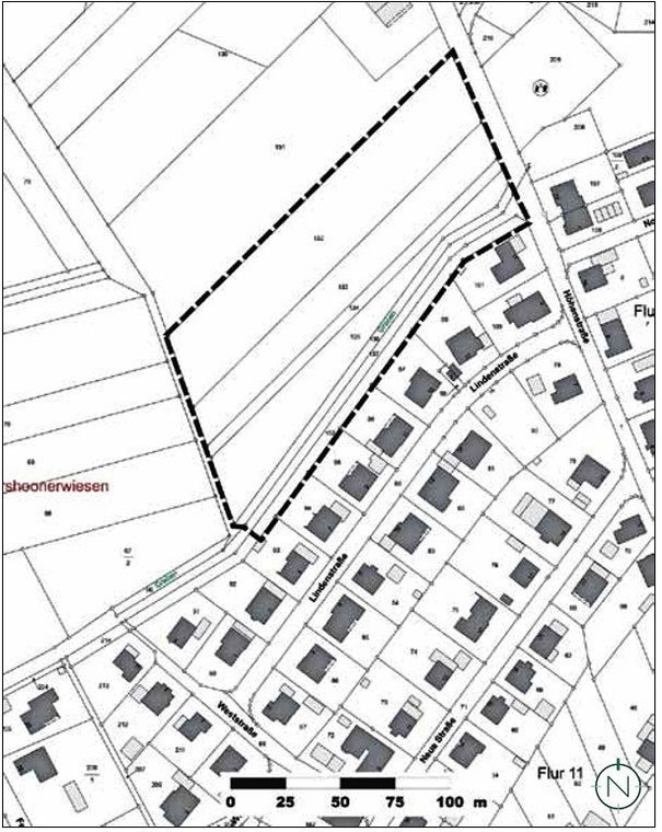
Der Geltungsbereich des Bebauungsplanes befindet sich am nördlichen Siedlungsrand der Ortsgemeinde Hof, westlich der „Höhenstraße“. Der Geltungsbereich des Bebauungsplanes wird wie folgt begrenzt:

• im Westen durch landwirtschaftliche Flächen,

• im Norden durch ein Wirtschaftsgebäude mit Wohnnutzung samt angrenzenden landwirtschaftlichen Flächen,

• im Osten durch die „Höhenstraße“, den „Höhenweg“,

• im Süden durch die rückwärtigen Gärten der Wohnbebauung „Lindenstraße“.

 

Der Bebauungsplan „Wohngebiet westlich der Höhenstraße“ besteht aus der Planzeichnung, dem Textteil, der Begründung sowie dem Fachbeitrag Naturschutz. Der Bebauungsplan kann ab sofort während der Dienststunden bei der Verbandsgemeindeverwaltung, Kirburger Straße 4, Zimmer-Nr. 213 in 56470 Bad Marienberg eingesehen werden. Jeder kann über den Inhalt Auskunft erhalten. Die Möglichkeit der Einsichtnahme besteht auch bei der Ortsgemeinde Hof zu den üblichen Sprechzeiten des Ortsbürgermeisters. Der Bebauungsplan erfüllt die Vorgaben, um gemäß § 13 b BauGB i. V. m. §13 a BauGB und § 13 BauGB im beschleunigten Verfahren aufgestellt zu werden. § 13 Abs. 2 und 3 BauGB gelten entsprechend.

 

Es wird darauf hingewiesen, dass gem. § 13 Abs. 3 BauGB von einer Umweltprüfung nach § 2 Abs. 4 BauGB, von dem Umweltbericht nach § 2 a BauGB, von der Angabe nach § 3 Abs. 2 Satz 2 BauGB, welche Arten umweltbezogener Informationen verfügbar sind, der zusammenfassenden Erklärung nach § 10a Abs. 1 BauGB und gem. § 13 Abs. 2 BauGB und § 13a Abs. 3 BauGB von der frühzeitigen Unterrichtung und Erörterung nach §§ 3 Abs. 1 und 4 Abs. 1 BauGB abgesehen wird.

Der Bebauungsplan „Wohngebiet westlich der Höhenstraße“ tritt mit dieser Bekanntmachung in Kraft. 

 

Hinweise gemäß § 44 Abs. 5 und § 215 Abs. 2 Baugesetzbuch (BauGB):

Auf die Vorschriften des § 44 Absatz 3 Satz 1 und 2 sowie des Absatzes 4 BauGB über die fristgemäße Geltendmachung von etwaigen durch diesen Bebauungsplan ausgelöste Entschädigungsansprüche wird hingewiesen. Ein Entschädigungsanspruch erlischt, wenn nicht innerhalb von 3 Jahren nach Ablauf des Kalenderjahres, in dem die in § 44 Absatz 3 Satz 1 BauGB bezeichneten Vermögensnachteile eingetreten sind, die Fälligkeit des Anspruchs herbeigeführt wird.

 

Eine nach § 214 Absatz 1 Satz 1 Nr. 1 bis 3 BauGB beachtliche Verletzung der dort bezeichneten Verfahrens- und Formvorschriften, eine unter Berücksichtigung des § 214 Absatz 2 BauGB beachtliche Verletzung der Vorschriften über das Verhältnis des Bebauungsplans und des Flächennutzungsplans sowie nach § 214 Absatz 3 Satz 2 BauGB beachtliche Mängel des Abwägungsvorgangs werden unbeachtlich, wenn sie nicht innerhalb eines Jahres seit Bekanntmachung dieses Bebauungsplanes schriftlich gegenüber der Verbandsgemeindeverwaltung in Bad Marienberg unter Darlegung des die Verletzung begründenden Sachverhalts geltend gemacht worden sind.

 

LAGEPLAN, O. M. 

Geltungsbereich des Bebauungsplanes „Wohngebiet westlich der Höhenstraße“ in der Ortsgemeinde Hof, Verbandsgemeinde Bad Marienberg

Quelle: Verbandsgemeinde Bad Marienberg; Bearbeitung: Kernplan

Hinweis gemäß § 24 Abs. 6 der Gemeindeordnung Rheinland-Pfalz (GemO):

 

Es wird darauf hingewiesen, dass Satzungen, die unter Verletzung von Verfahrens- oder Formvorschriften der Gemeindeordnung (GemO) oder auf Grund dieses Gesetzes zustande gekommen sind, ein Jahr nach der Bekanntmachung als von Anfang an gültig zustande gekommen gelten. Dies gilt nicht, wenn 1. die Bestimmungen über die Öffentlichkeit der Sitzung, die Genehmigung, die Ausfertigung oder die Bekanntmachung der Satzung verletzt worden sind, oder 2. vor Ablauf der Jahresfrist die Aufsichtsbehörde den Beschluss beanstandet oder jemand die Verletzung der Verfahrens- oder Formvorschriften gegenüber der Gemeindeverwaltung unter Bezeichnung des Sachverhaltes, der die Verletzung begründen soll, schriftlich gelttend gemacht hat.

 

Hat jemand eine Verletzung nach Satz 2 Nr. 2 geltend gemacht, so kann auch nach Ablauf der Jahresfrist jedermann diese Verletzung geltend machen.

 

 

Hof, 21.01.2019

Bernd Weber,

Ortsbürgermeister